00 Rutland DriveAiken, SC 29801




Mortgage Calculator
Monthly Payment (Est.)
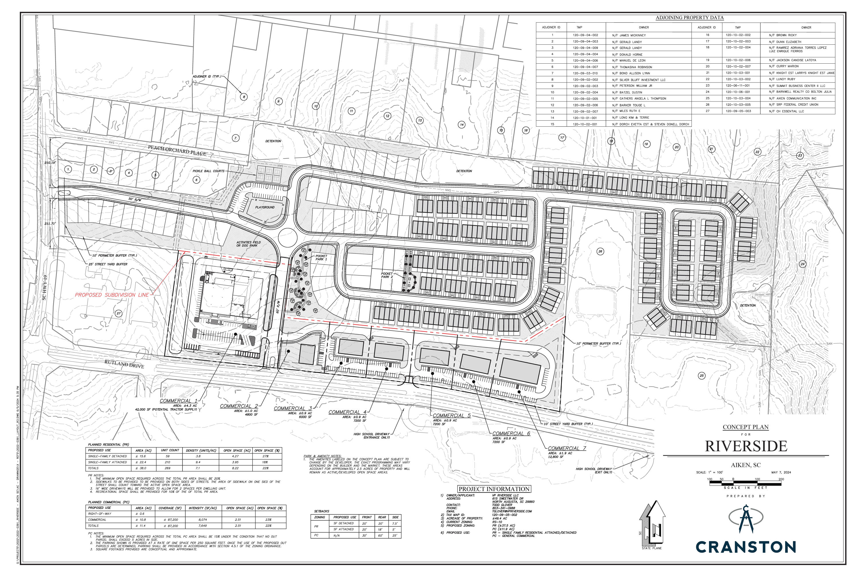
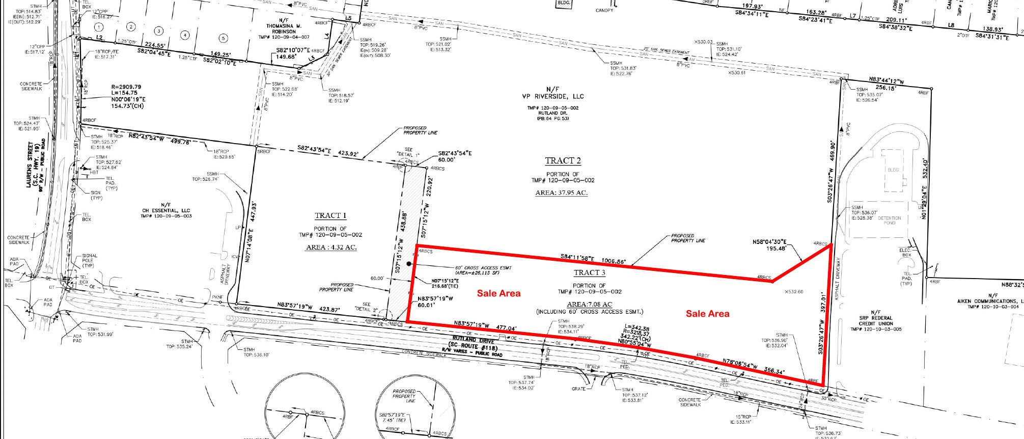
$6,622DEVELOPERS! Level, cleared and ready for development, this over 7-acre parcel is ideal for many commercial uses from retail to office to flex. Zoned ''Planned Commercial'' (per the City of Aiken) and on a major east-west artery that feeds Hwy 19 to Interstate 20 and only 5 min from the CBD, this parcel boasts 16,500 VPD with over 1600 feet of road frontage. Tractor Supply is complete, open for business, and contiguous to the property. A site plan has been approved for over 250 units of single-family attached and /or detached residential units on the north side of the parcel, and the developer is slated to begin in early spring 2026. Rollback taxes will apply to the Buyer. Water and Sewer are both available at the site. There is an off-site detention area for this property. As an incentive to locate here, the City of Aiken is granting a 50% rebate on the cost of the business license for 5 years. The rebate will go to the end-user business owner (whether they buy or lease).
| 4 months ago | Listing first seen on site | |
| a year ago | Listing updated with changes from the MLS® |
The data relating to real estate on this website comes in part from the Internet Data Exchange program of Hive MLS, and is updated as of 2026-03-02 07:03 AM UTC. All information is deemed reliable but not guaranteed and should be independently verified. All properties are subject to prior sale, change, or withdrawal. Neither listing broker(s) shall be responsible for any typographical errors, misinformation, or misprints, and shall be held totally harmless from any damages arising from reliance upon these data. Copyright 2026 Hive MLS


Did you know? You can invite friends and family to your search. They can join your search, rate and discuss listings with you.